ひたちなか市廻り目売地!那珂湊中学校のすぐ近くの売地です♪殿山駅までは650m!スーパーまでは400m圏内です!
- 価格
- 800万円
- 売地
|
|
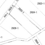
| 所在地 | 茨城県ひたちなか市廻り目2925-3 ひたちなか市廻り目 |
|---|---|
| 交通 | ひたちなか海浜鉄道殿山駅 徒歩650m 徒歩8分 |
| 駐車場 | 取引態様 | 仲介 | |
|---|---|---|---|
| 引渡/入居時期 | 相談 | 現況 | 更地 |
| 地目 | 宅地 | 用途地域 | 第一種住居 |
| 土地面積 | 330.57m² | 土地面積計測方式 | |
| 建ぺい率 | 60% | 容積率 | 200% |
| 土地権利 | 所有権 | 接道状況 | |
| 接道方向1 | 北西 | 接道間口1 | |
| 接道種別1 | 接道幅員1 | 10m | |
| 周辺環境 |
那珂湊第二小学校 那珂湊中学校 |
||
| 設備・条件 | 建築条件無 プロパンガス 公営水道 本下水 |
||
| URL | https://suumo.jp/tochi/ibaraki/sc_hitachinaka/nc_70172594/ | ||
| 物件番号 | to0232 | ||
※物件掲載内容と現況に相違がある場合は現況を優先と致します。
問合せ先
明豊不動産
茨城県ひたちなか市南神敷台2番地2
TEL 029-263-1688 FAX 029-263-0458
茨城県ひたちなか市南神敷台2番地2
TEL 029-263-1688 FAX 029-263-0458
問合せフォーム
[contact-form-7 id=”6″ title=”コンタクトフォーム 1″]











