ひたちなか市阿字ヶ浦町売地!阿字ヶ浦駅までは750m!海までは150mです!

価格
1,400万円
売地

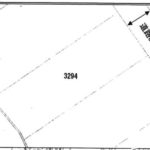
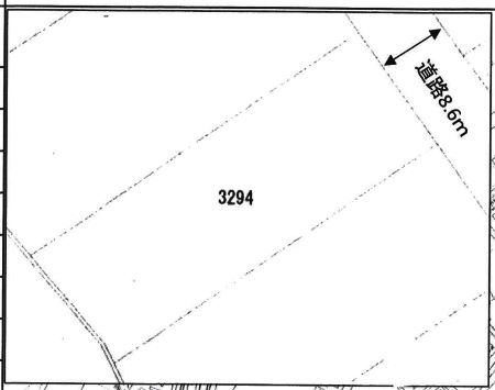
所在地 茨城県ひたちなか市阿字ヶ浦町3294  
交通 ひたちなか海浜鉄道阿字ケ浦駅 徒歩750m 徒歩10分
駐車場 取引態様 仲介
引渡/入居時期 相談 現況 更地
地目 用途地域 近隣商業
土地面積 663m² 土地面積計測方式
建ぺい率 80% 容積率 200%
土地権利 所有権 接道状況
接道方向1 北東 接道間口1
接道種別1 接道幅員1 8.6m
周辺環境 美乃浜学園
設備・条件 プロパンガス 公営水道 排水下水
物件番号 to0241
※物件掲載内容と現況に相違がある場合は現況を優先と致します。

関連物件

  • ひたちなか市馬渡売地!2世帯住宅も可!前渡小学校まで1000m!ジョイフル本田まで800m!ひたちなか市馬渡売地!2世帯住宅も可!前渡小学校まで1000m!ジョイフル本田まで800m!
    650万円 619.96m²
    ひたちなか市 馬渡

    JR常磐線佐和駅
  • ひたちなか市峰後売地!スーパーまでは700m!ドラックストアまでは640mなのでお買い物にも便利です!ひたちなか市峰後売地!スーパーまでは700m!ドラックストアまでは640mなのでお買い物にも便利です!
    800万円 529.9m²
    ひたちなか市 峰後

    ひたちなか海浜鉄道高田の鉄橋駅
  • ひたちなか市赤坂にある売地!スーパーやコンビニまでは500m圏内!海までは1.3kmです!!ひたちなか市赤坂にある売地!スーパーやコンビニまでは500m圏内!海までは1.3kmです!!
    940万円 518m²
    ひたちなか市 赤坂12388-1

    ひたちなか海浜鉄道殿山駅
  • ひたちなか市浅井内売地!区画C!殿山駅まで160m徒歩2分!那珂湊第二小学校までは徒歩600mになります!ひたちなか市浅井内売地!区画C!殿山駅まで160m徒歩2分!那珂湊第二小学校までは徒歩600mになります!
    600万円 500.01m²
    ひたちなか市 浅井内13085

    ひたちなか海浜鉄道殿山駅
  • ひたちなか市足崎!約130坪の売地!住宅街の中にあり近くに公園あります!勝田第三中学校まで徒歩約10分!ひたちなか市足崎!約130坪の売地!住宅街の中にあり近くに公園あります!勝田第三中学校まで徒歩約10分!
    650万円 431m²
    ひたちなか市 足崎1265-29・1265-56

    JR常磐線佐和駅

問合せ先

明豊不動産
茨城県ひたちなか市南神敷台2番地2
TEL 029-263-1688 FAX 029-263-0458

問合せフォーム

[contact-form-7 id=”6″ title=”コンタクトフォーム 1″]